Descrizione

Rif.AT2225

Immagina di tornare a casa e sentirti subito in un’oasi tutta tua.
Ad Osimo, nel curato residence di via Verdi, ti attende un appartamento di testa unico nel suo genere: ingresso indipendente, garage, posto auto interno scoperto e soprattutto un meraviglioso giardino privato di 194 mq che abbraccia i tre lati della casa, regalando luce, privacy e libertà.

Costruito nel 2008, questo appartamento è la soluzione ideale per chi desidera vivere in tranquillità senza rinunciare agli spazi aperti.
Il giardino è il vero protagonista: un luogo dove vivere ogni stagione all’aria aperta, perfetto per i tuoi animali, per pranzi e cene con gli amici, o semplicemente per ritagliarti momenti di puro relax.
Il glicine che cresce rigoglioso crea un angolo incantevole e naturale, estensione perfetta della zona giorno.

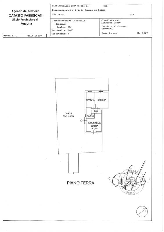
I suoi 57 mq sono pensati per single o coppie alla ricerca di comfort e funzionalità.
L’ambiente unico soggiorno–cucina è accogliente e luminoso, grazie alla porta finestra che conduce direttamente all’esterno, regalando una continuità tra interno ed esterno davvero rara.
Un comodo disimpegno separa la zona notte, dove trovi due camere e un bagno. Ogni affaccio guarda esclusivamente sul giardino privato: una cornice verde che dona intimità, serenità e un senso di casa difficile da trovare altrove.

Se cerchi un appartamento pronto da vivere, con tanto verde intorno e un’atmosfera che parla di casa al primo sguardo, questa è la soluzione che stavi aspettando.
Non lasciartela sfuggire: contattaci per scoprirla dal vivo.

Rif.AT2225


Caratteristiche principali

Stato Immobile
Ristrutturato
Grado
Signorile
Posizione
Periferia
Panorama
Vista Giardino
Orientamento
Nord Est
Lati Liberi
2
Giardino
Privato
Arredi
Semi Arredato
Tipo Soggiorno
Sala da Pranzo
Tipo Cucina
A Vista
Riscaldamento
Autonomo
Tipo Riscaldam.
Caldaia
Tipo Impianto
Pavimento
Fonte Energetica
Metano
Acqua Calda
Autonoma
Raffrescamento
Split
Infissi
Legno Doppio Vetro
Serramenti
Ottimo
Persiana
Persiana PVC
Pavim. Giorno
Cotto
Pavim. Notte
Cotto
Pavim. Cucina
Cotto
Pavim. Bagno
Ceramica
Accesso Disabili
No
Accessori: Aria Condizionata, Armadio a Muro

Mappa

Via Verdi 15, Osimo (AN)

Video

Cookie preference